آماده‌باش در ایالت استرالیای غربی؛ طوفان سهمگین "میشل" در راه است

آماده‌باش در ایالت استرالیای غربی؛ طوفان سهمگین "میشل" در راه است

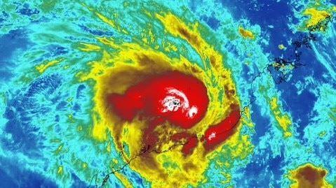
مقامات ایالت استرالیای غربی در پی نزدیک شدن طوفان استوایی میشل به سواحل این منطقه، وضعیت هشدار اعلام کردند. 

به گزارش رادیونشاط، سازمان هواشناسی نسبت به وزش بادهای ویرانگر، وقوع سیلاب‌های ناگهانی و جزر و مدهای غیرعادی به ساکنان مناطق ساحلی هشدار داده است.

براساس آخرین گزارش‌های هواشناسی، طوفان میشل که اکنون در سطح سه طبقه‌بندی شده ، با سرعتی حدود ۱۴ کیلومتر بر ساعت به سمت خشکی در حرکت است. انتظار می‌رود این سامانه قدرتمند اواخر وقت یکشنبه یا بامداد دوشنبه از منطقه پیلبارا و حدفاصل سواحل اکسموث و اونسلو وارد خشکی شود.

این مرکز اعلام کرد که طوفان پس از عبور از خط ساحلی، به تدریج ضعیف شده و به سمت نواحی جنوبی و مرکزی حرکت خواهد کرد.​ 

سازمان هواشناسی، هشدار داد بارش‌های سنگین و رعد و برق‌ می‌تواند به طغیان رودخانه‌ها، سیل‌های ناگهانی، و مسدود شدن گسترده جاده‌ها منجر شوند. این سازمان همچنین در خصوص سقوط درختان، تخریب اموال و زیرساخت‌های شهری، قطعی گسترده برق و مسدود شدن جاده‌های مواصلاتی در نواحی درگیر طوفان بر اثر وزش بادهایی با سرعت بیش از 150 کیلومتر در ساعت، هشدار داد.

همچنین پیش‌بینی می‌شود بارش باران بین ۱۰۰ تا ۲۰۰ میلی‌متر در سواحل پیلبارا منجر به جاری شدن سیل‌های شدید محلی شود. این وضعیت بحرانی احتمالاً تا روز دوشنبه به مناطق غربی گاسکویین نیز گسترش خواهد یافت.